
-
生物通官微
陪你抓住生命科技
跳动的脉搏
高通量检测技术助力LNP等新型药物递送技术开发新赛道
【字体: 大 中 小 】 时间:2022年12月20日 来源:安捷伦BioTek
编辑推荐:
在 LNP 筛选中,通常会进行多轮的筛选,其中涉及细胞水平及生化水平的多种类型的实验,并且包含繁杂的加液、移液等操作,因此相关流程引入自动化设备方能保证高通量检测的快速高效开展。
LNP 在核酸药物开发中的江湖地位
当下,随着新兴生物技术发展,加上全球新冠病毒疫情蔓延,核酸药物和核酸疫苗在生物制药行业已经是炙手可热的领域之一。
我们常说的核酸药物主要指包括 siRNA 等小核酸药物,以及核酸疫苗和基因编辑在内的 mRNA 药物。目前已有诸多的相关产品上市,包括 Alnylam 公司和 Novartis 公司的 siRNA 药物和 Moderna 、Pfizer 加急上市的 mRNA 疫苗等。
由于核酸分子在体内的不稳定性及潜在毒副作用等因素,使核酸递送成为核酸药物开发领域的重中之重。
近几年纳米材料的飞速发展极大推动了新型药物递送技术突破,包括脂质纳米颗粒(LNP)、聚合物纳米颗粒和无机纳米颗粒等纳米载体都被用于核酸药物递送,其中 LNP 是目前应用最为广泛、最成熟的技术平台,是毫无疑问的递送体“一哥”,尽管如此,LNP 的江湖地位仍然备受挑战,开发出具备特定靶向性、递送效率更高、体内安全性更好的 LNP 产品仍然是各大核酸药物开发企业的研发之重。接下来,我们来一起分享一下高通量检测技术在 LNP 的全生命周期中可以有哪些应用方案。
LNP 的生命周期
我们先来了解一下 LNP 主要的生命周期,以便更好的阐述高通量检测可以在哪些环节点提速 LNP 的开发。
图 1:LNP 的生命周期
https://doi.org/10.1021/acs.accounts.1c00544
首先体外通过微流控技术等将脂质、纳米材料及核酸药物等组分混合形成 LNP 原液,经过纯化等成为 LNP 制剂,LNP 配方中包含多种脂质成分,比如阳离子脂质、聚乙二醇-脂质聚合物、硬脂酰基磷脂酰胆碱(DSPC)和脂质胆固醇(cholesterol)等。这些不同的脂质成分的组合,实现了高负电荷的核酸分子的封装和递送。其中 LNP 的阳离子脂质利用其正电荷的特性吸附核酸药物,在小于 pKa 的酸性(通常 pH<4 )条件下实现核酸包封,制备好的 LNP 溶液呈现中性,pH7.4 左右,这是 LNP 生命的起点。
接下来,LNP 将突破细胞膜第一道关口,进入细胞内部,这一环节往往通过细胞吞噬功能实现,细胞浆内的中性环境使 LNP 保持结构完整;
随着吞噬小体进入胞浆内的 LNP 随后成熟成为内涵体(endosome),内涵体内呈现酸性环境,此时的 LNP 必须尽快通过膜融合等方式实现内涵体逃逸,将其运载的核酸货物安全释放入细胞质翻译表达发挥功能;
未能内涵体逃逸的 LNP 及膜融合释放核酸后的 LNP 剩余组分,被细胞终极大杀器溶酶体降解,至此,LNP 到达了他生命周期的最后一站。由此可见,成功的 LNP 必须在溶酶体降解之前,从内涵体里将核酸货物释放出来,才算使命达成。
图 1 简单描述了 LNP 的生命周期,从制备诞生,到细胞摄取,再到内涵体逃逸,最终生物降解,当然,目前不同的 LNP 开发技术,使得 LNP 入胞方式、货物释放方式均有所不同,但关键环节类似,LNP 发挥其使命都需要经历包封、入胞、释放核酸、核酸表达翻译、生物降解几个主要环节。
高通量检测,以快制胜
此前也提到,LNP 由多种组分构成,这些不同的脂质成分和结构对最终药物的大小、稳定性、核酸包封效率、细胞摄取和内涵体逃逸等方面具有不同的作用。
而现今 LNP 的结构很难预测和预先设计,前期往往需要大量的筛选工作,用以确认最佳组分的 LNP ,在筛选工作不同阶段,都会涉及 LNP 生命周期中的相关关键指标的检测评价,基于生化水平和细胞水平的高通量检测技术在海选 LNP 的过程中能够极大的发挥风采,加速进程。
接下来我们将从物理特征、细胞摄取、内涵体逃逸、表达翻译和体外毒性这几个方面,简单介绍一下高通量检测的应用方案。
图 2:核酸递送体全生命周期开发相关应用
1 包封率测定
包封率是 mRNA 载药体非常关键的指标,表示包裹在脂质纳米颗粒内部的 RNA 占全部 RNA 的比例,是确定 LNP 药物制剂精确给药剂量的基础,这个指标广泛应用于 LNP 早期开发及后期生产质控中。
包封率的测定方法:
传统的检测方法包括 NanoDrop RNA 测定等,由于吸收光原理的限制,灵敏度有限,且检测通量受限,无法支持高通量筛选的需求,因此目前基于 RiboGreen RNA 染色法成为最重要的 LNP 及相关纳米载药体的包封率检测方法。
高通量 RiboGreen 法的检测原理:
当 RiboGreen 特异性插入核酸后,能够发出绿色荧光,可用于定量溶液中的 RNA ,检测下限可以低至 1 ng/ml ,使用 96 孔板检测时,每孔 200 uL 样品中可以检测到 200 pg RNA ,并且具有特异性好,线性范围宽等优势。
主要检测流程:
包括 buffer 和 LNP 样本制备、96 孔板样本及标准品加样、加入 triton 孵育破乳、加入 RiboGreen 试剂(以上和各种液体孔板打交道的工作,都可以交给自动化移液工作站完成,比如安捷伦的 Bravo ),最终送入高通量读板机,调取现有方案,一键开始荧光强度读数,最快只需数十秒即可完成检测。
图 3:Gen5 软件可实现LNP包封率检测程序设置、板布局、原始数据及数据分析一站式方案
2 LNP 表观 pKa 测定
酸解离常数(pKa)是体系中电离(质子化)基团和非电离基团数目相等时的 pH 值。
Pka 对于 LNP 的结构优化及筛选有多重要呢?来看一下这个参数的重要性:
● pKa 决定了纳米粒子的电离和表面电荷,这极大地影响了它们的稳定性、效力和毒性,此外也影响纳米颗粒的细胞摄取、内体释放和生物分布;
● 表观 pKa 在最佳范围内的纳米颗粒显示出有效的内体逃逸和治疗效果;
● pKa 值 6-7 是开发用于 RNA 疗法的纳米颗粒的理想范围;
● 最佳的 pKa 值取决于载体的结构、靶组织和递送途径,表观 pKa 应根据靶组织和疾病情况进行优化;
● 将表观 pKa 作为纳米粒子开发的设计标准将有助于发现有效和安全的 RNA 疗。
LNP 表观 pKa 主要测定方法:
目前 pKa 的测定方法包括酸碱滴定法和 TNS 荧光法,其中 TNS 荧光法非常灵敏,且操作便捷,可用 96 孔板体系实现高通量检测,已被广泛用于测量 LNP 的 pKa 。
检测原理:
TNS( 2- 对甲苯氨基 -6 萘磺酸)在水溶液中是非荧光的,带负电荷,与阳离子脂类或聚合物结合并移动到疏水环境中后显示出强烈的荧光,随着 pH 值的降低,TNS 和可电离表面的相互作用增加,从而荧光稳定增加, 当在特定的 pH 值下,所有的可电离基团带电荷,荧光值达到最大,通过达到最⼤荧光值的⼀半的 pH 估算 pKa ,如图 4 所示。
图 4:TNS 法检测 pKa 的主要原理。
(Trends in Pharmacological Sciences, 2021, 42(6): 448-460.)
TNS 法主要检测流程:
96 孔板体系,准备一系列的 pH 值在 3-10 的 buffer 溶液,将 LNP 纳米颗粒溶解在对应梯度溶液中,将 TNS 加入 LNP 溶液混合后,放入多功能酶标仪中进行荧光读数(Ex/Em=325nm/435nm ),将荧光强度读数结果和 pH 值进行曲线拟合,计算 pKa 。典型的结果如下图所示。
图 5:TNS 法检测不同类型的 LNP 的表观 pKa 的结果
(COMMUNICATIONS BIOLOGY | https://doi.org/10.1038/s42003-021-02441-2)
3 LNP 细胞摄取高通量检测
高效筛选出具备稳定细胞摄取能力的载体配方是疫苗开发及 CGT 治疗前期研究重点,通常来说,各种递送载体比如脂质纳米颗粒(LNP)、脂质聚合物纳米颗粒(LPP)、外泌体等主要通过胞吞等形式进入细胞,因此活细胞荧光成像法是非常好的定量评价载体入胞的方式,采用现在自动化的活细胞成像设备,将有效提高 LNP 细胞摄取评估的通量和效率。
LNP 细胞摄取评价的主要流程:
对于此类的 LNP 摄取实验,主要设计思路是在细胞内定量检测荧光标记的 LNP 的积累,由于 LNP 本身的纳米结构在未被细胞摄取时,光学显微镜无法对其成像,细胞摄取富集后,可拍摄到明亮的荧光信号胞内增加。
活细胞的高通量检测对于设备及图形分析软件有较高的要求,通常稳定持续的气体浓度和温度环境、自动化的图像拍摄、定量提取细胞内的多种参数等功能非常重要,比如,下图展示了安捷伦BioTek Gen5 对细胞富集的红色纳米颗粒进行定量检测,可识别并计算出每个细胞内的纳米颗粒富集情况,并输出动力学数据。
图 7:Gen5 软件对细胞富集的 Dil 标记的纳米颗粒进行动态定量检测
4 LNP 内涵体逃逸检测
前面提到,当纳米颗粒通过胞吞等形式进入细胞后,并不是直接释放其运载的核酸等“货物”到细胞质中,而是包裹在内涵体中,LNP 只有尽快实现内涵体逃逸,才能有效完成核酸递送。
通常来说,不同的纳米颗粒载体有不同的内涵体逃逸机制,包括膜穿孔,破裂,膜融合等形式,其中 LNP 在内涵体的偏酸性环境中 ‘去质子化’,诱发内涵体膜融合,进而释放 mRNA ,实现内涵体逃逸(图 8)。
图 8:不同的纳米颗粒引发的内涵体逃逸 https://doi.org/10.1016/j.nantod.2014.04.011
现有的内涵体逃逸的检测方法:
目前来说,内涵体逃逸的定量检测仍然是业内的难点和重点,目前尚无公认的内涵体逃逸的标准测定方案,因此开发合适的和更高效的内涵体逃逸定量方法非常重要。整体来说,内涵体膜融合检测、内容物释放和生物传感器标记等,是常见的检测方法,这些方法也都有高通量的检测方案,我们主要来介绍一下和内涵体破损生物传感器这两种检测方案。
图 9:不同的内涵体逃逸检测方法
内涵体内容物释放:
通常将 LNP 运载的“货物”用荧光标记,比如偶连 cy3 的核酸分子,或荧光染料标记的特定药物,这些 LNP 被细胞摄取进入内涵体后,由于内涵体的富集,在细胞内呈现点状表型(punctate),如果出现内涵体膜融合后,“货物”释放入细胞质,punctate 表型减少,荧光信号胞内弥散(图 10)。
图 10:上图 A:左图,标记有绿色荧光的 3kDa 的左旋糖苷脂质颗粒颗粒通过胞吞的形式进入细胞后“封锁”在内涵体,形成点状表型(punctate),右图,当经过特定载药体包装(CM-Tat)后,发生内涵体逃逸,点状荧光表型弥散入细胞质,punctate 减少。
下图 B:通过 Punctate 表型改变评价细胞透膜肽装载 QD 的细胞递送效率,通过荧光成像可看到三种明显的表型变化:点状无逃逸,中度逃逸,高度逃逸。http://dx.doi.org/10.1016/j.nantod.2014.04.011
内涵体破损传感器
-Gal8/Gal9 募集法:
Galectins 属于进化保守的 β- 半乳糖苷酶家族成员,主要分布在细胞质,当内涵体出现失稳或损伤时,Gal8 可选择性地结合内涵体膜内叶上的聚糖, 将 GFP 和 Gal8 偶联,当产生内涵体逃逸时,形成明显的点状结构(Punctate),近期有研究表明,GAL9 对内涵体损伤的募集反应比 GAL3 或 GAL8 更大,也有研究者采用 GAL9 设计出新型的内涵体破损传感器用于定量评价内涵体逃逸。
以上两种方案
具有相似的检测方法:
高内涵成像筛选,对单细胞内形成的点状结构进行定量。安捷伦 BioTek 的成像系列产品联合 Gen5 image prime 软件,可开展多种类型的 spot count 的全自动方案。
安捷伦BioTek 的 Spot (punctate) count 解决方案,从图像捕获、图片处理,小点计数到结果输出可一个方案全自动搞定。
5 核酸表达翻译及体外毒性评价
LNP 的最终使命是安全有效地将运载核酸送入细胞内并表达目的蛋白或执行相应功能,通常采用转染效率或 ELISA 、原位免疫荧光等评价核酸表达;并通过多种策略评价体外细胞毒性。
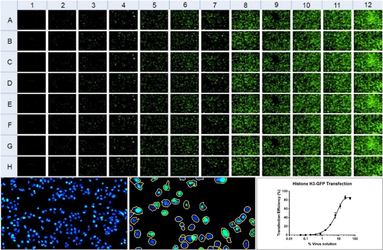
转染效率检测是目前最常用的方法之一,在 LNP 筛选、开发到生产质控多个环节都会涉及。常规思路是纳米载体包裹标记有 EGFP 等报告基因的核酸片段,加入细胞后,检测报告基因表达从而对核酸表达翻译进行定量。LNP 的开发过程中往往涉及多种细胞系或原代细胞的转染效率评价,采用高内涵成像法开展 96-384 体系的转染效率评价能够极大加速此类项目进程。
安捷伦BioTek 转染效率解决方案,对 96 或 384 孔板的整板图像拍摄,
并对细胞内报告基因表达进行计数定量。
细胞毒性评价:
目前有非常多的高通量微孔板检测技术可以用于评价细胞毒性,可以从不同的毒性机制评价 LNP 的体外毒性,其中最常见的是基于 ATP 的细胞活力检测,可以使用多功能酶标仪的发光模式开展检测,除此之外,高内涵成像系统可开展灵活的多参数细胞毒性评估,引入基因毒性、线粒体毒性、细胞周期等多角度的毒性评估。这些毒性评价方法,不仅仅用于评价 2D 细胞,还可以应用在高通量 3D 细胞培养、类器官乃至斑马鱼或线虫等模式动物等模型中。
不同角度的细胞毒性评价方案,其中橙色标记的是基于酶标仪的检测方法,
绿色标记的是基于成像的检测方法。
核酸递送体全生命周期开发
高通量解决方案推荐
以上内容我们从 LNP 的生命周期多个角度介绍了不同的高通量检测技术的应用,在 LNP 筛选中,通常会进行多轮的筛选,其中涉及细胞水平及生化水平的多种类型的实验,并且包含繁杂的加液、移液等操作,因此相关流程引入自动化设备方能保证高通量检测的快速高效开展。
从液体处理到样本检测和数据分析,安捷伦BioTek能够从多个应用角度为用户提供自动化的 LNP 开发高通量解决方案,详细需求可通过安捷伦细胞分析公众号联系我们进行深入探讨。
参考文献:
Buschmann, Michael D., et al. "Nanomaterial delivery systems for mRNA vaccines." Vaccines 9.1 (2021): 65.
Eygeris, Yulia, et al. "Chemistry of lipid nanoparticles for RNA delivery." Accounts of Chemical Research 55.1 (2021): 2-12.
Eygeris, Yulia, et al. "Chemistry of lipid nanoparticles for RNA delivery." Accounts of Chemical Research 55.1 (2021): 2-12.
Patel, Pratikkumar, Nurudeen Mohammed Ibrahim, and Kun Cheng. "The importance of apparent pKa in the development of nanoparticles encapsulating siRNA and mRNA." Trends in pharmacological sciences 42.6 (2021): 448-460.
Carrasco, Manuel J., et al. "Ionization and structural properties of mRNA lipid nanoparticles influence expression in intramuscular and intravascular administration." Communications biology 4.1 (2021): 1-15.
Martens, Thomas F., et al. "Intracellular delivery of nanomaterials: how to catch endosomal escape in the act." Nano Today 9.3 (2014): 344-364.
Rui, Yuan, et al. "High-throughput and high-content bioassay enables tuning of polyester nanoparticles for cellular uptake, endosomal escape, and systemic in vivo delivery of mRNA." Science advances 8.1 (2022): eabk2855.
Miao, Lei, et al. "Synergistic lipid compositions for albumin receptor mediated delivery of mRNA to the liver." Nature communications 11.1 (2020): 1-13.
Evans, Brian C., et al. "An anionic, endosome-escaping polymer to potentiate intracellular delivery of cationic peptides, biomacromolecules, and nanoparticles." Nature communications 10.1 (2019): 1-19.
关于 BioTek
BioTek 是世界领先的多功能微孔板检测仪及软件的研发生产公司,拥有 54 年的悠久历史。BioTek 的 Synergy 系列多功能微孔板检测仪拥有灵活的功能配置和优异的检测结果,配合友好强大的操作软件,为广大用户提供了便捷高效的使用体验。服务科学,促进科学始终是我们追求的目标。2019 年 BioTek 加入安捷伦科技有限公司,成为细胞分析事业部的重要组成成员。
关于安捷伦
安捷伦科技有限公司(纽约证交所:A)是生命科学、诊断和应用化学市场领域的全球领导者,致力于为提高生活质量提供敏锐洞察和创新经验。安捷伦的仪器、软件、服务、解决方案和专家能够为客户最具挑战性的难题提供更可靠的答案。2021 财年,安捷伦的营业收入为 63.2 亿美元,全球员工数为 17,000 人。